십자인대 특화센터

한 단계 앞선 치료, 특별한 회복의 시작
십자인대 특화센터

십자인대 특화센터

부산 24시 동물병원 연산동물의료센터의
전문 특화 진료를 통해 아이들의 건강한 일상을 약속합니다.

무릎을 지탱하는 핵심 인대,
전십자인대 단열이란?

전십자인대(Cranial Cruciate Ligament) 단열은 무릎 속 인대가 부분적으로 또는 완전히 찢어지거나 박리된 상태를 말합니다.

이 인대가 손상되면 무릎 관절에서 정강이뼈가 앞쪽으로 밀려 불안정해지며, 외상이나 슬개골 탈구, 퇴행성 관절염, 비만 등 다양한 원인으로 발생할 수 있습니다. 이러한 손상은 반려동물에게 기력 저하, 산책 거부, 절뚝거림, 통증 호소와 같은 증상으로 나타나며, 조기 진단과 치료가 이루어지지 않으면 만성 관절 질환으로 이어질 수 있습니다.

  • #기력 감소
  • #보행 거부
  • #통증 호소
  • #절뚝거림
  • #한쪽 다리를 들고 걷는 모습
의료진 이미지
치료법

정확한 진단 최적의 치료법

연산동물의료센터는 전십자인대 단열환자에게 최적의 치료 솔루션을 제공합니다.

전십자인대 단열 위치 이미지
TPLO
TPLO Tibial Plateau Leveling Osteotomy

전십자인대 단열에서 가장 널리 이용되는 뼈자름술로 무릎관절의 경사를 완만하게 만들어주어 정강이뼈가 앞으로 밀리게 되는 증상을 방지하는 수술법으로 높은 치료 성공률을 보입니다.

TPLO
ECS Extra Capsular Suture

낭외고정법은 전십자인대의 역할을 인공인대를 통하여 일정시간 유지함으로서 무릎관절의 기능을 회복할 수 있도록 도움을 주는 방법입니다. 뼈자름술에 비하여 덜 침습적이며 소형견에서 많이 적용되는 수술법 중 하나입니다.

TPLO
CTWO Cranial Tibial Wedge Osteotomy

정강이뼈를 쇄기 모양으로 절골하는 뼈자름술입니다. 환자의 상태에 따라 최적의 수술법이 결정되고 적용되어야 합니다.

십자인대 프로세스

십자인대 프로세스

  • 십자인대 검사 이미지
    01
    십자인대 검사(Drawer test)

    십자인대 단열이 의심되는지 면밀히 검사합니다.

  • X-ray 검사 이미지
    02
    X-ray 검사

    무릎 관절을 체크하고,십자인대 단열을 확인합니다.

  • 의사 이미지
    03
    수술/비 수술적 치료 계획

    현재 기저질환이나 나이 등 아이의 상태를 파악한 뒤, 현재 아이의 상태에 따라 수술/비수술적 치료 계획을 수립합니다.

  • 수술 전 각도 조정 이미지
    04
    수술 전 각도 조정

    수술 전, 정확한 각도 조정 수술 계획을 수립합니다.

  • 수술 이미지
    05
    수술

    안전하고 정밀한 호흡 마취와 함께 수술을 진행합니다.

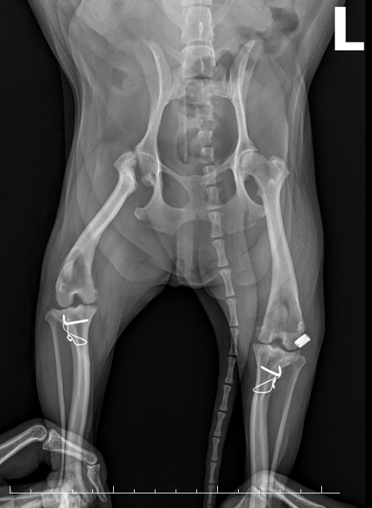
치료사례

치료사례

정밀 진단부터 맞춤 치료까지, 반려동물 심장 건강을 지킵니다.

  • 십자인대 수술 이미지
    TPLO 십자인대 수술

    절뚝거리는 증상으로 내원!
    TPLO 수술 후 건강한 일상으로 복귀

  • 노령견 십자인대 수술 이미지
    ECS 노령견 십자인대 수술

    기저 질환을 가지고 있는 노령견,
    안정성을 더한 맞춤 수술 케이스

  • 슬개골 탈구 + 십자인대 이미지
    MPL, TPLO 슬개골 탈구 + 십자인대

    슬개골 탈구 수술과 십자인대 수술
    동시 진행 케이스

치료사례 더보기